Snow Emergency Information
Prohibited Parking During Snow Emergency
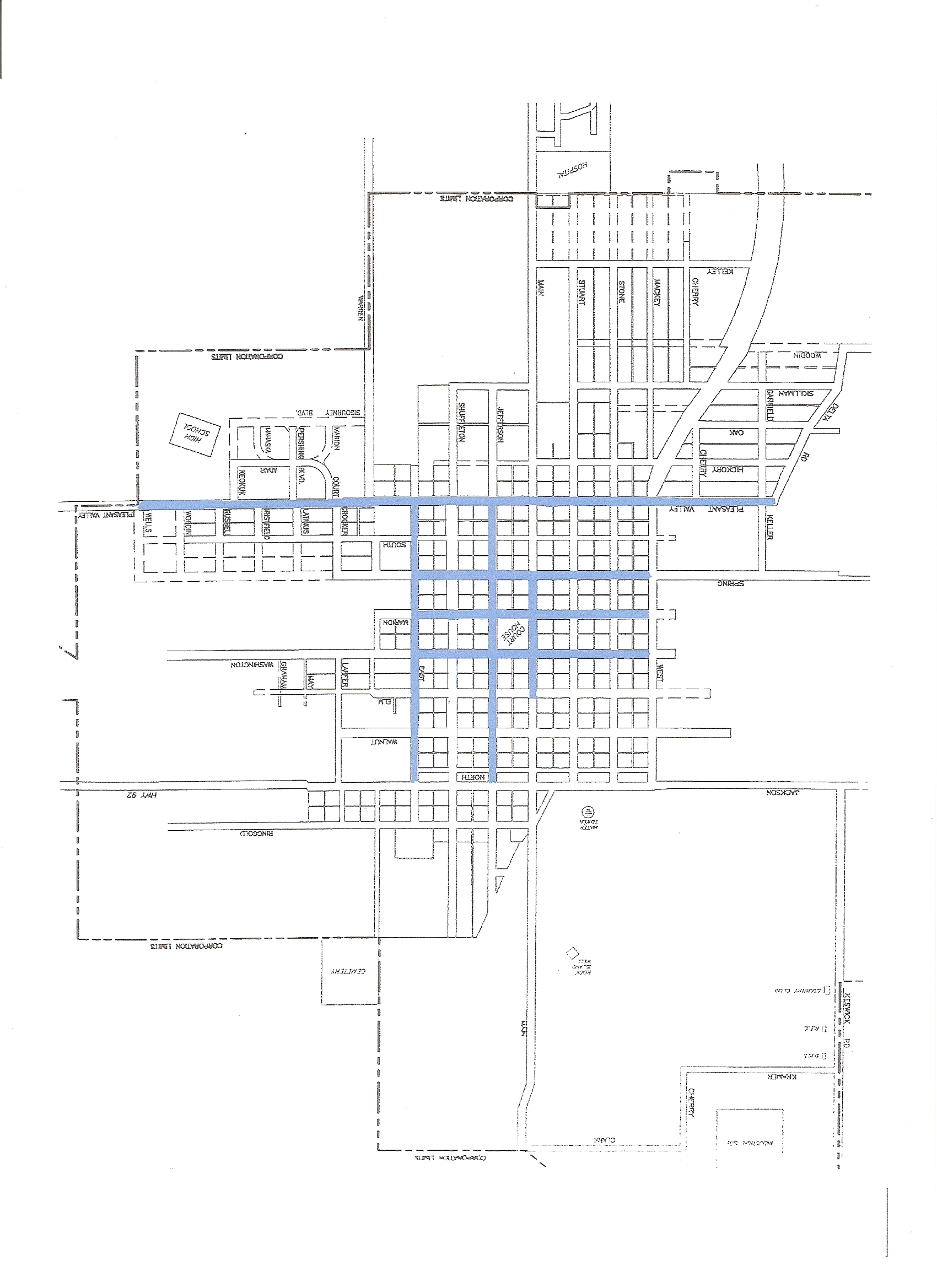
No person shall park, abandon or leave unattended any vehicle on any public street, alley, or City-owned off-street parking area during any snow emergency. A snow emergency parking ban will continue through the duration of the snow or ice storm and for a forty-eight hour period after the storm. Once the streets have been plowed and are fully opened the ban can be considered lifted. (Section 3-3-32 of the Sigourney Municipal Code) The featured image is the Snow Route Map of Sigourney. The streets in blue are the ones that would be cleared first.
The City of Sigourney will ask the following stations to broadcast the snow emergency notice when issued: KGAN television (channel 2); KTVO television (channel 3); KCRG television (channel 9); KBOE radio (Am 740, FM 104.9; WHO radio (AM 1040). If snow is predicted during the night, please make sure your vehicle is not parked in the street. The police will issue a citation for vehicles that impede the removal of snow. Also a reminder to home owners and business owners: make arrangements for snow removal from your sidewalks as soon as possible.







Ola! Sigourneyiowa,
Very interesting, This is a stupid question, but can school be in session if the County is on a Level One, Level Two, or Level Three Snow Emergency?? Thanks.
Cheerio